Of the ~4,000 cockroach species in the world, only about 30 of them are considered significant pests in North America. Of those 30, four are most likely to be encountered in commercial and food-handling environments: The American cockroach, the German cockroach, the Oriental cockroach and the brown-banded cockroach.
The German cockroach is often found in restaurants and commercial establishments, making commercial cockroach control particularly important. This cockroach is drawn to these spaces looking for food, water and indoor space. They aggressively seek sustenance and will eat anything of nutritional value to them, including soap and glue. They will also infest the surrounding perimeter of structures in urban environments.
Common Cockroaches
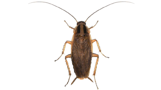
German Cockroach
- Approximately 0.5'' (1.2 cm) long, the German cockroach is the most common pest cockroach species across the world.
- It has two dark-colored parallel lines running from the top of the head to front of the wings.
- Can breed in great numbers, the female can lay 7 egg cases in her lifetime with up to 48 eggs per case.
- Prefers dark shelters near food and moisture.
American Cockroach
- One of the largest of the pest cockroaches, it can be up to 2'' (2.5 cm) long.
- It is distinguished by a yellow band running across the back edge of its head.
- The female can lay six to 14 egg cases in her lifetime, with about 16 eggs per case.
- Prefers warm, damp areas such as kitchen sink areas, sewers, steam tunnels, and boiler rooms.
Oriental Cockroach
- Adult female is 1.25'' (3.2 cm) and adult male is 1'' (2.5 cm) long and dark brown to almost black in appearance.
- Adult males have shortened wings, and adult females only possess wing pads.
- The female can lay 8 egg cases, with about 16 eggs per case.
- Prefers damp, secluded areas such as crawlspaces, basements, and drains.
Brown-Banded Cockroach
- Approximately 0.5'' (1.3 cm) long with yellowish-brown bands running across its forewing.
- The male's wings are longer than the female's.
- Prefers starchy foods and requires less water than other cockroaches.
- Can be found in all parts of a facility and prefers hiding places that are not on the ground floor.
Diseases Spread by Cockroaches
Cockroaches are known to transmit disease and can easily contaminate food and food-handling surfaces. According to the Centers for Disease Control and Prevention (CDC), the German cockroach is a known vector for diseases including:
- Salmonellosis - Salmonella food poisoning causes diarrhea, fever, and abdominal cramps within 12 to 72 hours. Symptoms are generally mild, but can be severe, especially for those with a compromised immune system.
- Staphylococcus infections - This gastrointestinal illness develops soon after food is eaten and usually last about a day. The toxins are heat-resistant, so they are not destroyed by cooking.
- Escherichia coli (E. coli) bacteria normally lives in the intestines of people and animals and some types can cause illness with diarrhea.
- Typhoid fever - This life-threatening illness is caused by Salmonella Typhi. When a contaminated food is consumed, the bacteria multiply and spread into the bloodstream.
- Gastroenteritis - inflammation of the stomach and small and large intestines, generally leading to vomiting or diarrhea.
The Dangers of Cockroaches and Food Safety
Cockroaches are typically brought into restaurants and food service facilities with deliveries, supplies or even employee belongings. Some species can travel between and enter buildings through drains or sewer pipes. Once they are in, they survive where food and water are available. They reproduce rapidly and thrive in hard-to-reach cracks and crevices that offer warmth and humidity.
Because of cockroaches' ability to spread disease, they present significant food-safety risks for restaurants and food retail establishments. In fact, a single sighting of a cockroach by a health inspector can result in a shutdown.
Tips for Pest Prevention
There are several steps you can take to prevent cockroaches and other pests from entering your restaurant. Get pest prevention tips for your commercial kitchen.
